SEAT IBIZA 1.4 I GASOLINA 85CV
- Vehicles Stock Accidentados
- ID # 002929
- Brand Seat
- Registration 5 / 2007
- Color Rojo
- Gearbox Manual
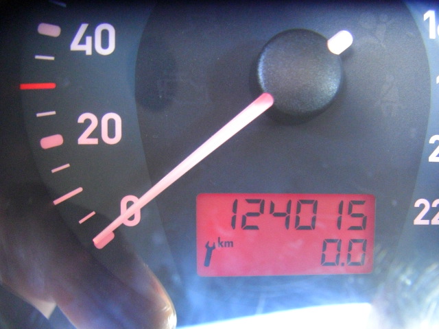
- Kilometres 124.015 Km
- Power 85CV
- Fuel Gasolina
- Location Madrid
- Seller Hostiauto
- Price 1.700 €
Información SEAT IBIZA 1.4 I GASOLINA 85CV
Observaciones SEAT IBIZA 1.4 I GASOLINA 85CV
accidentado.vehiculo con golpe delantero,arrancando y andando,airbags ok,cd,clima,volante multi funcion..
Fotos SEAT IBIZA 1.4 I GASOLINA 85CV
- SEAT IBIZA 1.4 I GASOLINA …

- SEAT IBIZA 1.4 I GASOLINA …

- SEAT IBIZA 1.4 I GASOLINA …

- SEAT IBIZA 1.4 I GASOLINA …

- SEAT IBIZA 1.4 I GASOLINA …

- SEAT IBIZA 1.4 I GASOLINA …

- SEAT IBIZA 1.4 I GASOLINA …

- SEAT IBIZA 1.4 I GASOLINA …

- SEAT IBIZA 1.4 I GASOLINA …

- SEAT IBIZA 1.4 I GASOLINA …

- SEAT IBIZA 1.4 I GASOLINA …

- SEAT IBIZA 1.4 I GASOLINA …

- SEAT IBIZA 1.4 I GASOLINA …

- SEAT IBIZA 1.4 I GASOLINA …

- SEAT IBIZA 1.4 I GASOLINA …

- SEAT IBIZA 1.4 I GASOLINA …

- SEAT IBIZA 1.4 I GASOLINA …

- SEAT IBIZA 1.4 I GASOLINA …

- SEAT IBIZA 1.4 I GASOLINA …

- SEAT IBIZA 1.4 I GASOLINA …

- SEAT IBIZA 1.4 I GASOLINA …

- SEAT IBIZA 1.4 I GASOLINA …

- SEAT IBIZA 1.4 I GASOLINA …

- SEAT IBIZA 1.4 I GASOLINA …

- SEAT IBIZA 1.4 I GASOLINA …

- SEAT IBIZA 1.4 I GASOLINA …

- SEAT IBIZA 1.4 I GASOLINA …

- SEAT IBIZA 1.4 I GASOLINA …

- SEAT IBIZA 1.4 I GASOLINA …

Características Motor y cambio
- El vehiculo anda
- Motor arranca
Características Carrocería
- Airbags ok
- Golpe frontal
Características Extras
- ABS
- Airbag
- Airbag acompañante
- Airbags laterales
- Cierre centralizado
- Climatizador
- Control de velocidad
- Dirección asistida
- Elevalunas eléctrico
- ESP
- Faros antiniebla
- Llantas de aleación
- Ordenador de abordo
- Radio/CD
- Volante multifunción
